El paso del huracán Matthew sembró el temor en el Caribe y se aproxima a la costa este de Estados Unidos. En Haití ya suman más de 100 muertos, según cifras oficiales.
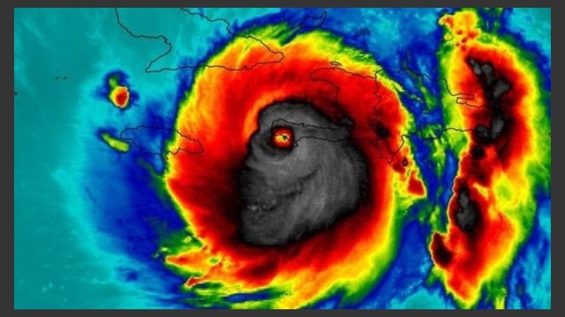
En ese contexto, una imagen de la Nasa sobre el frente de tormenta se llevó toda la atención en las redes sociales.
En ella puede observarse la tormenta avanzando sobre Puerto Príncipe, en un mapa de calor desde el espacio, que fue replicado en cuestión de segundos por miles de internautas, que creyeron observar en la imagen una figura fantasmal con forma de calavera (ver galería).
12:50 en los instantes que pasa por Miami #HuracánMatthew pic.twitter.com/JvBKc3GgmV
— C.U.P.S. FIRE GYE (@cups_fire_gye) 6 de octubre de 2016
Por otro lado, habitantes de Downtown, en Miami, transmitieron un video en el que se observan las fuertes lluvias provocadas por el huracán.
Habitantes de Downtown en Miami, transmiten video en el que se observa fuertes lluvias por el #HuracanMatthew #Matthew pic.twitter.com/rnTPZrTAn2
— Diario Las Américas (@DLasAmericas) 6 de octubre de 2016
Mientras tanto, Matthew alcanzó este jueves la categoría 4 en su camino hacia EEUU en donde más de dos millones de personas estaban llamadas a evacuar el litoral atlántico este. En este contexto, el presidente de Estados Unido,s Barack Obama, declaró el estado de emergencia en la península de Florida.
Allí, el huracán ingresará en categoría cuatro (extremo) y se prevén vientos de hasta 230 kilómetros por hora mientras que ya han sido evacuados 1,5 millones de personas. En tanto el gobernador de Florida hizo un desesperado llamado a que los ciudadanos se autoevacuen. "No vayan a hacer surf, no vayan a las playas. Morirán", advirtió el gobernador de Florida, Rick Scott, en una conferencia de prensa.



